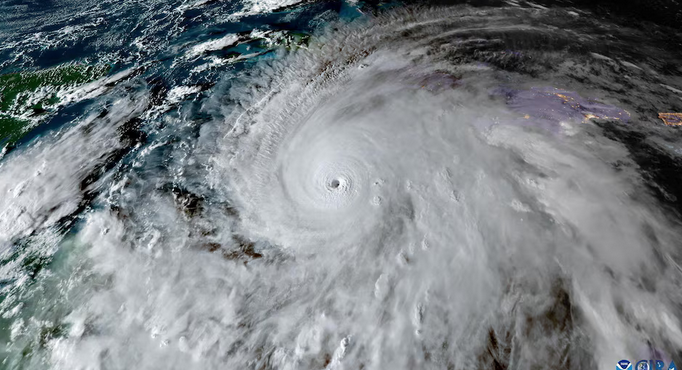
صورة بواسطة قمر صناعي لإعصار ’’ميليسا‘‘. الصورة: via reuters / CSU/CIRA & NOAA CANADAكندا عربي توقُّع تأثير غير مباشر لإعصار ’’ميليسا‘‘ على شرق كندا by admin 29 أكتوبر، 2025 written by admin 29 أكتوبر، 2025 102 راديو كندا الدولي / RCI من المتوقع أن يبقى إعصار ’’ميليسا‘‘ بعيداً عن سواحل كندا الأطلسية مع تسارعه شمالاً في وقت لاحق من الأسبوع الحالي، لكنّ المركز الكندي للأعاصير في هاليفاكس، كبرى مدن المقاطعات الأطلسية، يقول إنّه لا يزال من المتوقَّع أن يلعب الإعصار دوراً في إحداث طقس سيئ في شرق كندا. ويتمركز إعصار ’’ميليسا‘‘ حالياً قبالة الساحل الشمالي لجزيرة جامايكا في البحر الكاريبي. ويقول عالم الأرصاد الجوية في مركز الأعاصير في هاليفاكس بوب روبيشو إنّ منخفضاً جوياً سيتّجه يوم الجمعة إلى شمالي شرقي الولايات المتحدة حيث سيبدأ في جذب الهواء الرطب الاستوائي من ’’ميليسا‘‘. وستكون النتيجة رياحاً قوية وأمطاراً في المقاطعات الأطلسية وفي أجزاء من مقاطعتيْ أونتاريو وكيبيك. ’’كلما اقترب المسار من سواحل كندا الأطلسية، زادت احتمالية أن يكون هناك بعض التأثير الاستوائي على هطول الأمطار‘‘، قال روبيشو اليوم في مقابلة صحفية. ’’لن يقتصر الأمر على مقاطعات كندا الأطلسية أو على كيبيك أو أونتاريو فقط. سيكون هذا نظاماً كبيراً غير استوائي… ما قد يعني أنه بدلاً من هطول 40 ميليمتراً من الأمطار، ستصل كمية الأمطار المتساقطة إلى 60 ميليمتراً أو قرابة ذلك‘‘، أوضح روبيشو. بوب روبيشو، عالم الأرصاد الجوية في المركز الكندي للأعاصير في هاليفاكس (أرشيف).الصورة: La Presse canadienne / Andrew Vaughan وفيما من المرجَّح أن يتجه إعصار ’’ميليسا‘‘ يوم السبت نحو المنحدرات الكبرى (الـ’’غراند بانكس‘‘ Grand Banks) قبالة السواحل الشرقية لجزيرة نيوفاوندلاند في أقصى الشرق الكندي، من المتوقع أن يستمر المنخفض الجوي في إحداث طقس عاصف ورطب في أعقابه. ’’الشيء الرئيسي هو مراقبة تطوّر الوضع خلال الأسبوع مع تزايد دقة التوقعات‘‘، قال روبيشو، مضيفاً أنه من السابق لأوانه إصدار تنبؤات حول كميات الأمطار أو قوة الرياح. وخلال موسم أعاصير أطلسية عادي، تدخل ما بين اثنتيْن وأربع عواصف مُسمّاة المنطقةَ الكندية بين 1 حزيران (يونيو) و30 تشرين الثاني (نوفمبر). لكنّ الموسم الحالي كان لغاية الآن هادئاً على نحوٍ غير معتاد. (نقلاً عن وكالة الصحافة الكندية، ترجمة وإعداد فادي الهاروني) روابط ذات صلة: جامايكا تستخدم طائرات درون تبرعت بها كندا لتعزيز استجابتها للكوارث إعصار يوقع جريحاً وأضراراً بـ125 منزلاً في أوتاوا رئيس حكومة أونتاريو دوغ فورد يتفقّد مدينة باري التي ضربها الإعصار 0 comment 0 FacebookTwitterPinterestEmail admin previous post كارني يتجنّب الإفصاح عمّا إذا كان قد شاهد إعلان أونتاريو قبل بثّه next post مستقبل الصحراء الغربية بين الحكم الذاتي والاستفتاء الشعبي You may also like نحوٌ من 200 دبلوماسي كندي سابق يطالبون بعقوبات... 16 مايو، 2026 France rejects plan to send its last two... 16 مايو، 2026 Macdonald Bridge to close Sunday morning for Bluenose... 16 مايو، 2026 Canadian isolating in B.C. tests “presumptive positive” for... 16 مايو، 2026 Canadian wineries say scrapping provincial trade barriers would... 16 مايو، 2026 Kirst’s six-point outing leads Rock past Thunderbirds in... 16 مايو، 2026 Carney, Smith reach energy agreement that could see... 15 مايو، 2026 Why the U.S. is noticing this Canadian security... 15 مايو، 2026 Supreme Court rules intimate partner violence can be... 15 مايو، 2026 Why a song contest has emerged as Europe’s... 15 مايو، 2026